- Status Siaga untuk hujan lebat hingga sangat lebat: Jawa Barat, Jawa Tengah, Jawa Timur, NTT, Kalimantan Tengah, Sulawesi Barat, Sulawesi Selatan, Maluku, dan Papua Selatan.
- Peringatan Angin Kencang: Jawa Timur, Maluku, dan Nusa Tenggara Timur.
Masuki Libur Natal 2025, BMKG Prediksi Hujan Deras di Sejumlah Wilayah

- BMKG memprediksi hujan sedang hingga deras di sejumlah wilayah Indonesia selama libur Natal 2025
- Peringatan dini untuk hujan lebat dan angin kencang di beberapa wilayah Indonesia periode 23-25 Desember dan 25-29 Desember 2025
- Fenomena seruakan dingin Asia, keberadaan bibit siklon tropis 93S, dan imbauan kepada masyarakat untuk meningkatkan kewaspadaan terhadap perubahan cuaca
Jakarta, IDN Times - Memasuki masa libur Natal dan tahun baru 2025, Badan Meteorologi, Klimatologi, dan Geofisika (BMKG) memprediksi cuaca di sejumlah wilayah Indonesia cenderung hujan sedang hingga hujan deras. Kondisi ini dipicu oleh peningkatan signifikan Indeks Seruakan Dingin (Cold Surge) dari benua Asia yang mengalir ke wilayah Indonesia.
"Pada skala global-regional, tercatat perbedaan tekanan lebih dari 10 hPa antara Gushi dan Hongkong pada tanggal 21 Desember 2025 mengindikasikan adanya perambatan seruakan dingin (cold surge) dari Asia menuju Indonesia, yang memicu peningkatan intensitas hujan di sebagian besar wilayah Indonesia," jelas BMKG dikutip dalam rilisnya, Rabu (24/12/2025). Kondisi tersebut diperkirakan masih akan berlangsung terutama selama periode Natal 2025.
1. Prospek cuaca dan wilayah yang perlu diwaspadai periode 23–25 Desember 2025

Secara umum, cuaca di Indonesia didominasi oleh kondisi berawan hingga hujan ringan. Maka dari itu, BMKG mengimbau masyarakat untuk mewaspadai peningkatan hujan dengan intensitas sedang yang dapat terjadi di sejumlah wilayah, meliputi Aceh, Sumatera Utara, Sumatera Barat, Riau, Kepulauan Riau, Jambi, Sumatera Selatan, Kepulauan Bangka Belitung, Bengkulu, Lampung, Banten, DKI Jakarta, Jawa Barat, DI Yogyakarta, Bali, NTB, Kalimantan Barat, Kalimantan Timur, Kalimantan Selatan, Sulawesi Utara, Sulawesi Tengah, Sulawesi Tenggara, Maluku Utara, Maluku, Papua Barat Daya, Papua Barat, Papua Tengah, dan Papua Pegunungan.
Selain itu, terdapat potensi hujan dengan intensitas lebat yang dapat disertai kilat, petir, dan angin kencang. Berikut adalah kategori tingkat peringatan dini dan wilayah potensinya:
2. Prospek cuaca dan wilayah yang perlu diwaspadai periode 25–29 Desember 2025

Lebih lanjut, pada periode ini, kondisi cuaca di Indonesia secara umum masih didominasi berawan hingga hujan ringan. Peningkatan hujan dengan intensitas sedang perlu diwaspadai di wilayah Aceh, Sumatera Utara, Sumatera Barat, Kepulauan Riau, Jambi, Sumatera Selatan, Kepulauan Bangka Belitung, Banten, DKI Jakarta, Bali, NTB, Kalimantan Barat, Kalimantan Tengah, Kalimantan Timur, Kalimantan Utara, Kalimantan Selatan, Sulawesi Utara, Gorontalo, Sulawesi Tengah, Sulawesi Barat, Sulawesi Tenggara, Maluku Utara, Maluku, Papua Barat Daya, Papua Barat, dan Papua Tengah.
Potensi hujan lebat yang dapat disertai kilat, petir, dan angin kencang juga masih ada. Berikut rincian peringatan dini untuk periode ini.
- Status Siaga untuk hujan lebat hingga sangat lebat: Riau, Bengkulu, Jawa Barat, Jawa Tengah, DI Yogyakarta, Jawa Timur, NTT, Sulawesi Selatan, Papua Pegunungan, Papua, dan Papua Selatan.
- Peringatan Angin Kencang: Nusa Tenggara Timur dan Maluku Tenggara.
3. Fenomena seruakan dingin Asia

Lebih jauh, dalam sepekan terakhir, BMKG mencatat peningkatan signifikan pada Indeks Cold Surge. Aliran udara dingin dari Asia ini memicu hujan sedang hingga deras di wilayah Barat dan Selatan Indonesia, bersamaan dengan menguatnya angin Monsun Asia. Kondisi ini diprakirakan masih berpengaruh hingga sepekan ke depan.
Tak hanya itu, kondisi suhu muka laut yang hangat di beberapa perairan juga dapat meningkatkan potensi penguapan di Pesisir Barat Aceh hingga Lampung, Slt. Malaka, Perairan selatan Kep. Natuna, Perairan barat Kalbar, Perairan Timur Kaltim, Perairan Timur Kaltara, Perairan Utara Jawa bagian Barat – Tengah, Teluk Cendrawasih, Teluk Bone, Laut Sulawesi, Laut Maluku, Laut Banda, hingga Samudera Pasifik utara Papua. Sementara, kondisi La-Nina lemah turut meningkatkan potensi hujan di Indonesia bagian timur.
Selanjutnya kombinasi antara Madden-Julian Oscillation (MJO) dan gelombang atmosfer diprakirakan aktif di Samudra Hindia Barat Aceh, Samudra Hindia Barat Kep. Nias, Selat Malaka Bagian Utara, yang berkontribusi pada peningkatan pertumbuhan awan hujan di wilayah tersebut.
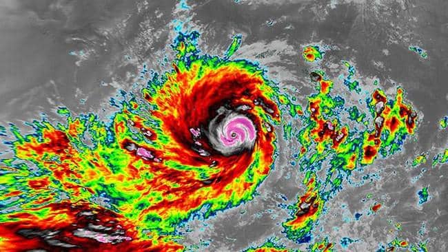
4. Keberadaan bibit siklon tropis 93s

Sementara, Bibit Siklon Tropis 93S terpantau di Samudra Hindia barat daya Jawa Barat. Bibit siklon ini juga memberikan dampak tidak langsung berupa hujan dengan intensitas sedang hingga deras di wilayah Lampung, Banten, Jawa Barat, dan DKI Jakarta dalam beberapa hari terakhir.
Lebih lanjut, terdapat Bibit Siklon Tropis 93S yang terpantau di Samudra Hindia barat daya Banten. Sistem ini memiliki tekanan pusat sebesar 985 hPa dengan kecepatan angin maksimum mencapai 55 knot, dan diperkirakan bergerak ke arah barat.
Keberadaannya membentuk daerah perlambatan serta pertemuan angin di wilayah pesisir barat Lampung hingga selatan Jawa Barat. Kondisi ini dapat meningkatkan potensi pertumbuhan awan hujan di sekitar sistem tersebut. Dalam 48 jam ke depan, bibit siklon ini berpotensi tinggi untuk berkembang menjadi siklon tropis.
5. Masyarakat diimbau untuk meningkatkan kewaspadaan

BMKG mengimbau masyarakat dan semua pemangku kepentingan untuk meningkatkan kewaspadaan terhadap perubahan cuaca yang dapat terjadi sewaktu-waktu. Potensi dampak bencana hidrometeorologi akibat cuaca ekstrem juga perlu diantisipasi.
Masyarakat diharapkan dapat lebih berhati-hati dalam merencanakan berbagai aktivitas. Khususnya untuk perjalanan, baik darat, laut, maupun udara, serta kegiatan di luar ruangan seperti ibadah, wisata, dan perayaan malam pergantian tahun.



















